Activan el Sistema
-
Nacionales

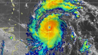
Activan el Sistema Nacional de Gestión de Riesgos por huracán Beryl
La vicepresidenta de la República, Delcy Rodríguez, anunció esta noche la activación del Sistema Nacional de Gestión de Riesgos por…
Leer más »

La vicepresidenta de la República, Delcy Rodríguez, anunció esta noche la activación del Sistema Nacional de Gestión de Riesgos por…
Leer más »